

Information
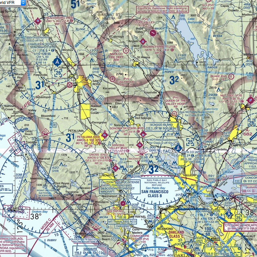
Sonoma Skypark (0Q9) is a privately-owned airport open to the public. We are located about three miles South of downtown Sonoma, CA. In order to help us maintain good relations with our neighbors and the surrounding community please follow all guidelines.
If you have any questions please contact the airport office at 707-996-2100.
Guidelines
-
Please fly a standard, rectangular pattern at all times. See our traffic pattern diagram above.
-
Night ops prohibited.
-
Noise-sensitive area E end of runway 8.
-
Rotorwing turbojet, ultralights, plus aircraft over 8,500 pounds gross weight prohibited.
-
Perform run-up W end.
-
Runway 26 is calm-wind runway.
-
Runway 8 for arrival and departure only. No touch-and-go landing or practice approaches.
-
No turns on takeoff before 800 feet.
-
Click on the link to download a copy of our flight operations rules.
Caution
-
Many vintage, non-radio airplanes fly out of Skypark and neighboring Schellville Airport. KEEP YOUR EYES OPEN.
-
Watch for deer at East end of runway.
-
Watch for mowing equipment.
Amenities
-
Self-fueling system via credit card. 100LL
-
Pilot’s lounge in airport office with drinks and candy for sale.
-
Restrooms at back side of airport office are open 24 hours.
-
Free courtesy 2-seater pick-up truck available, call 707-996-2100 for details.
-
Nightly tie-down fee $10.

